Siêu bão Sinlaku mạnh cấp 16, là cơn bão đầu tiên đạt cường độ này trong năm 2026
Siêu bão Sinlaku mạnh cấp 16, bão đầu tiên năm 2026

Siêu bão Sinlaku đạt cường độ kỷ lục, trở thành cơn bão mạnh nhất thế giới năm 2026

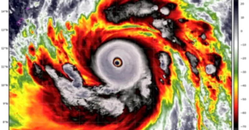
Theo thông tin từ cơ quan khí tượng, vào tối ngày 12/4, siêu bão Sinlaku đã mạnh lên đáng kể với sức gió vùng tâm lên đến 105 kts, tương đương cấp 16, cùng với gió giật trên cấp 17. Đây được xác định là cơn bão đầu tiên trong năm 2026 đạt đến cường độ siêu bão, đồng thời là lần đầu tiên xuất hiện trong tháng 4 kể từ sau bão Surigae vào năm 2021. Chỉ có hai cơn bão khác đạt mức độ này trong tháng 4 kể từ năm 1977, khiến Sinlaku trở thành một hiện tượng hiếm gặp.

Áp suất trung tâm thấp kỷ lục và dự báo di chuyển

Hiện tại, Sinlaku cũng được ghi nhận là cơn bão mạnh nhất trên toàn cầu trong năm 2026, với áp suất trung tâm chỉ ở mức 920 hPa, thấp hơn so với bão Maila ở khu vực Úc (924 hPa). Cơ quan khí tượng nhấn mạnh rằng đây sẽ là siêu bão đầu tiên hoạt động trên khu vực Tây Bắc Thái Bình Dương trong mùa bão lũ năm nay, và là một trong số rất ít cơn siêu bão xuất hiện ngay trong tháng 4.

Sau khi đạt cường độ siêu bão, Sinlaku dự kiến sẽ đổi hướng di chuyển lên phía Bắc, và nhiều khả năng tiếp tục chuyển hướng thành hướng Bắc Đông Bắc vào khoảng ngày 16-17/4. Cơn bão này được dự báo sẽ di chuyển tới vùng biển phía Đông của Nhật Bản, với cường độ giảm dần theo thời gian. May mắn thay, các dự báo hiện tại đều chỉ ra rằng bão không có khả năng đi vào khu vực Biển Đông, giảm bớt lo ngại cho khu vực này.

Banner rộng Pickt — ứng dụng danh sách mua sắm cộng tác cho Telegram

Theo dõi sát sao và cảnh báo về thời tiết cực đoan

Trung tâm Dự báo khí tượng thủy văn vẫn đang theo dõi chặt chẽ diễn biến của siêu bão đầu mùa này để cập nhật thông tin kịp thời. Ngoài ra, trong dự báo thời tiết cho cả nước trong vòng 30 ngày tới (từ nay đến ngày 10/5), cơ quan này cho biết trên khu vực Biển Đông ít có khả năng xuất hiện bão hoặc áp thấp nhiệt đới. Trung bình nhiều năm, khu vực này chỉ có khoảng 0,3 cơn và không đổ bộ vào đất liền Việt Nam.

Tuy nhiên, từ tháng 7 đến tháng 9, hoạt động của bão hoặc áp thấp nhiệt đới trên Biển Đông và đổ bộ vào đất liền nước ta được dự báo ở mức tương đương trung bình nhiều năm, với khoảng 6,5 cơn trên Biển Đông và 2,9 cơn đổ bộ vào đất liền.

Khuyến cáo ứng phó với biến đổi khí hậu

Trong bối cảnh biến đổi khí hậu ngày càng phức tạp, thời tiết và khí hậu diễn biến với nhiều hình thái nguy hiểm và cực đoan, cơ quan khí tượng đã đưa ra lời khuyên quan trọng. Đề nghị các cấp chính quyền và người dân thường xuyên cập nhật và tích hợp thông tin dự báo, cảnh báo khí tượng thủy văn trong các bản tin ngắn hạn 1-3 ngày. Điều này nhằm kịp thời điều chỉnh các kế hoạch sản xuất và phương án ứng phó phù hợp, đảm bảo an toàn cho các hoạt động sản xuất và dân sinh.

Việc theo dõi sát sao và chuẩn bị ứng phó là rất cần thiết trong thời điểm hiện tại, khi các hiện tượng thời tiết cực đoan như siêu bão Sinlaku có thể xảy ra bất ngờ và gây ra những tác động nghiêm trọng.

Banner sau bài viết Pickt — ứng dụng danh sách mua sắm cộng tác với hình minh họa gia đình