Xã hội
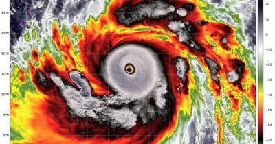
Siêu bão Sinlaku mạnh cấp 16, là cơn bão đầu tiên đạt cường độ này trong năm 2026
Siêu bão Sinlaku đã mạnh lên với sức gió 105 kts, tương đương cấp 16, giật trên cấp 17, trở thành cơn bão mạnh nhất thế giới năm 2026. Đây là siêu bão đầu tiên xuất hiện trong tháng 4 kể từ năm 2021 và dự kiến di chuyển về phía Nhật Bản, không ảnh hưởng đ
Kinh tế
3 Dấu Hiệu Tinh Tế Cho Thấy Bạn Đang Đi Đúng Hướng Tài Chính
Không phải ai cũng nhận ra mình đang đi đúng hướng về tài chính. Trên thực tế, trước khi thu nhập tăng hay tài sản tích lũy rõ rệt, nhiều người đã có những thay đổi rất nhỏ trong cách suy nghĩ và hành động. Đáng chú ý, chính những thay đổi này nhỏ này lại
Chính trị
Hungary: Ông Viktor Orban thừa nhận thất bại, Đảng Tisza giành chiến thắng lịch sử
Sau 16 năm lãnh đạo, Thủ tướng Hungary Viktor Orban chính thức thừa nhận thất bại trong cuộc bầu cử quốc hội. Đảng Tisza đối lập giành siêu đa số với 53,6% phiếu, mở ra kỷ nguyên mới cho chính trị Hungary và quan hệ với EU.
Pháp luật
Thủ tướng Israel Netanyahu tuyên bố chiến dịch tại Iran chưa kết thúc
Thủ tướng Israel Benjamin Netanyahu khẳng định chiến dịch quân sự nhằm vào Iran vẫn đang tiếp diễn, bất chấp những diễn biến gần đây. Tuyên bố này được đưa ra trong bối cảnh căng thẳng leo thang giữa hai quốc gia.
Giải trí
Thể thao
Công nghệ
AI gây sa thải 80.000 người trong 3 tháng đầu 2026
Báo cáo từ Nikkei cho thấy 80.000 người mất việc trong quý I/2026 tại thung lũng Silicon và các trung tâm công nghệ, với gần một nửa liên quan đến AI. Chuyên gia dự báo đây mới là khúc dạo đầu của cuộc đại tu nhân sự quy mô lớn.
TurboQuant Google thúc đẩy nhu cầu chip nhớ, Samsung bùng nổ lợi nhuận
Thuật toán TurboQuant của Google hứa hẹn cắt giảm bộ nhớ AI, nhưng thay vì làm sụt giảm, nó lại thúc đẩy nhu cầu chip nhớ. Samsung ghi nhận lợi nhuận quý I cao kỷ lục, minh chứng cho 'nghịch lý Jevons' trong nền kinh tế số.
Kỷ lục 83.000 người thi 'Hộ chiếu AI' tại Nhật
Kỳ thi 'Hộ chiếu AI Tạo sinh' tại Nhật Bản thu hút kỷ lục 83.000 thí sinh, phản ánh nhu cầu cấp thiết về chứng nhận an toàn AI. Cùng với đó, các doanh nghiệp như NTT Docomo Solutions triển khai hệ thống đánh giá thực chiến, đe dọa chế độ thâm niên truyền
CIA dùng Pegasus giải cứu phi công Mỹ tại Iran
Trong xung đột Trung Đông tháng 4/2026, CIA đã vận dụng phần mềm gián điệp Pegasus để đánh lạc hướng lực lượng Iran, hỗ trợ giải cứu thành công phi công từ máy bay F-15E bị bắn rơi.
Gia Lai cảnh báo lừa đảo mùa thi tốt nghiệp THPT
Công an tỉnh Gia Lai cảnh báo các đối tượng lợi dụng mùa thi tốt nghiệp THPT để thực hiện nhiều chiêu trò lừa đảo tinh vi, từ giả mạo tuyển sinh đến mạo danh công an, nhằm chiếm đoạt tài sản và thông tin cá nhân của phụ huynh và học sinh.
Du lịch
Nhận tin mới
Đăng ký bản tin của chúng tôi để nhận những cập nhật mới nhất ngay trong hộp thư của bạn!
Chúng tôi không bao giờ gửi thư rác



