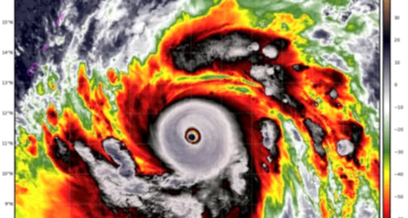
Siêu bão Sinlaku xuất hiện bất thường ngoài khơi, dự báo có thể tiến vào Biển Đông
Các cơ quan khí tượng thủy văn vừa ghi nhận sự hình thành của cơn bão Sinlaku ở vùng biển ngoài khơi, với những diễn biến được đánh giá là bất thường so với các mô hình dự báo thông thường. Sinlaku đã nhanh chóng phát triển thành một cơn bão mạnh, thu hút sự chú ý đặc biệt từ các chuyên gia thời tiết trong khu vực.
Diễn biến phức tạp và dự báo hướng di chuyển
Theo thông tin từ Trung tâm Dự báo Khí tượng Thủy văn Quốc gia, cơn bão Sinlaku hiện đang hoạt động ở khu vực ngoài khơi xa, với sức gió mạnh và khả năng tăng cường thêm trong những giờ tới. Các mô hình tính toán cho thấy, Sinlaku có xu hướng di chuyển theo hướng Tây Tây Bắc, với xác suất cao sẽ tiến vào vùng biển thuộc khu vực Biển Đông trong khoảng thời gian từ 48 đến 72 giờ tới.
Điều đáng lo ngại là sự xuất hiện của Sinlaku được đánh giá là khác thường về thời điểm và vị trí hình thành, so với các cơn bão khác trong mùa này. Các chuyên gia nhận định, điều này có thể liên quan đến những biến đổi khí hậu phức tạp đang diễn ra trên toàn cầu, làm thay đổi quy luật hoạt động của các hiện tượng thời tiết cực đoan.
Ảnh hưởng tiềm tàng và khuyến cáo từ cơ quan chức năng
Nếu Sinlaku thực sự tiến vào Biển Đông, nó có thể gây ra nhiều tác động đáng kể, bao gồm:
- Gió mạnh và sóng lớn: Các vùng biển từ Trung Bộ đến Nam Bộ có thể chịu ảnh hưởng với gió giật cấp 8-9, sóng cao từ 4-6 mét, đe dọa an toàn hàng hải và hoạt động đánh bắt.
- Mưa lớn diện rộng: Bão có khả năng gây mưa to đến rất to trên nhiều khu vực, dẫn đến nguy cơ ngập lụt, sạt lở đất, đặc biệt ở vùng ven biển và miền núi.
- Gián đoạn giao thông và sinh hoạt: Các hoạt động vận tải biển, hàng không và đời sống người dân có thể bị ảnh hưởng nghiêm trọng nếu bão đổ bộ hoặc áp sát đất liền.
Các cơ quan chức năng đã đưa ra khuyến cáo khẩn cấp, yêu cầu người dân và chính quyền địa phương theo dõi sát sao diễn biến của bão, chuẩn bị sẵn sàng các phương án ứng phó. Đặc biệt, các tàu thuyền đang hoạt động trên biển cần nhanh chóng tìm nơi trú ẩn an toàn, tránh xa vùng nguy hiểm.
So sánh với các cơn bão trước đó và bài học kinh nghiệm
Sinlaku được so sánh với một số cơn bão mạnh khác từng xuất hiện trong khu vực Biển Đông những năm gần đây, như bão Molave hay bão Goni. Tuy nhiên, tính chất bất thường trong sự hình thành và dự báo hướng di chuyển của Sinlaku khiến nó trở thành một thách thức lớn hơn đối với công tác dự báo và phòng chống.
Các chuyên gia nhấn mạnh, việc nâng cao năng lực dự báo, đầu tư vào công nghệ giám sát thời tiết hiện đại, và tăng cường sự phối hợp giữa các quốc gia trong khu vực là cực kỳ quan trọng để giảm thiểu thiệt hại do bão gây ra. Người dân cần tuân thủ chặt chẽ các hướng dẫn từ cơ quan chức năng, không chủ quan trước những diễn biến khó lường của thời tiết.
Trong bối cảnh biến đổi khí hậu ngày càng phức tạp, sự xuất hiện của những cơn bão như Sinlaku là một lời cảnh tỉnh về sự cần thiết phải chủ động phòng ngừa và thích ứng với các hiện tượng thời tiết cực đoan. Các cơ quan khí tượng sẽ tiếp tục cập nhật thông tin chi tiết về diễn biến của bão Sinlaku trong những giờ tới.



