Siêu bão Sinlaku tiếp tục di chuyển với sức gió cực mạnh, đe dọa quần đảo Bắc Mariana
Theo thông tin từ The Guardian, vào ngày 14/4, siêu bão Sinlaku tại khu vực tây bắc Thái Bình Dương vẫn duy trì sức gió mạnh khoảng 210km/h, tương đương cấp 17 trên thang đo. Cơn bão này đang hướng về phía quần đảo Bắc Mariana của Mỹ, gây lo ngại lớn cho cư dân và chính quyền địa phương.
Đặc điểm nguy hiểm của siêu bão Sinlaku
Các nhà khí tượng học đã nhận định Sinlaku là một cơn bão "đặc biệt nguy hiểm" do sự kết hợp của nhiều yếu tố phức tạp. Điều này bao gồm cường độ tăng tốc bất thường, quy mô ảnh hưởng rộng lớn, và những rủi ro thiên tai đi kèm vượt xa so với chỉ số sức gió đơn thuần. Theo Cơ quan Khí tượng Nhật Bản (JMA), vào lúc 6 giờ sáng ngày 14/4, tâm siêu bão Sinlaku nằm cách đảo Saipan, thuộc quần đảo Bắc Mariana, khoảng 160km về phía đông nam. Sức gió mạnh nhất vùng gần tâm bão vẫn duy trì ở mức 210km/h, tương đương cấp 17, với gió giật trên cấp 17.
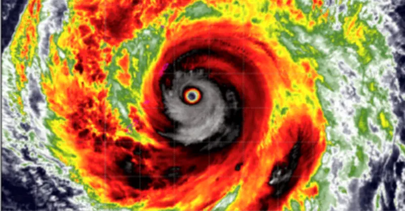
JMA cũng cho biết, áp suất tại vùng trung tâm của siêu bão hiện ở mức rất thấp, chỉ 905 hPa, điều này chứng tỏ đây là một siêu bão cực kỳ mạnh mẽ. Vùng gió mạnh từ cấp 7 trở lên trải dài từ 500 đến 600km tính từ tâm bão, trong khi vùng gió mạnh từ cấp 10 trở lên có bán kính khoảng 165km. Hình ảnh vệ tinh sáng nay cho thấy mắt bão Sinlaku vẫn rõ nét, tròn xoe, với hoàn lưu rộng hàng trăm km, đối xứng và dày đặc, đang áp sát và bao trùm toàn bộ quần đảo Bắc Mariana.
Dự báo di chuyển và cường độ của bão
Trong vòng 24 giờ tới, siêu bão Sinlaku được dự báo sẽ tiếp tục di chuyển theo hướng tây bắc với tốc độ khoảng 15km/h, quét qua quần đảo Bắc Mariana, tập trung chủ yếu vào hai đảo Saipan và Tinian. Cường độ của bão có khả năng suy yếu dần theo thời gian. Đến 6 giờ sáng ngày 15/4, tâm siêu bão dự kiến sẽ nằm trên vùng biển phía đông bắc của quần đảo này. Lúc đó, sức gió mạnh nhất vùng gần tâm bão có thể giảm xuống còn 185km/h, tương đương đầu cấp 16.
Những ngày sau đó, bão dự kiến sẽ đổi hướng sang phía bắc rồi đông bắc, với cường độ tiếp tục suy yếu thêm. Hiện tại, siêu bão Sinlaku đang cách Biển Đông khoảng 3.000km. Với dự báo hướng di chuyển như trên, Cơ quan Khí tượng Việt Nam đã nhận định rằng siêu bão Sinlaku không có khả năng đi vào khu vực Biển Đông và sẽ không ảnh hưởng đến đất liền của nước ta.
Rủi ro và cảnh báo từ các chuyên gia
Mặc dù tâm bão có khả năng sẽ đi chệch lên phía bắc, hướng về Saipan và Tinian thay vì đổ bộ trực tiếp vào đảo Guam, các chuyên gia vẫn cảnh báo rằng "bán kính nguy hiểm" của Sinlaku là rất rộng lớn. Theo San Francisco Chronicle, điều này có thể kéo theo một chuỗi rủi ro nghiêm trọng, bao gồm:
- Mưa lớn với cường độ cao
- Sóng biển dữ dội và nước dâng đột ngột
- Thời gian ảnh hưởng kéo dài, gây thiệt hại lâu dài
Một điểm đáng chú ý khác là tác động kéo dài của bão. Thay vì di chuyển nhanh qua khu vực, Sinlaku được dự báo sẽ quần thảo liên tục trong khoảng 36 đến 40 giờ với gió mạnh. Thời gian kéo dài này có thể khiến hạ tầng bị "bào mòn" nghiêm trọng, dẫn đến:
- Cây cối bật gốc hàng loạt
- Mái nhà bị tốc và hư hại nặng
- Hệ thống điện và viễn thông dễ sụp đổ trên diện rộng
Ngay cả trong kịch bản Guam không hứng chịu trực tiếp mắt bão, các chuyên gia vẫn nhấn mạnh rằng "tác động không chỉ nằm ở tâm bão". Với bán kính ảnh hưởng rộng, khu vực này vẫn có thể trải qua hàng chục giờ với gió mạnh cấp nhiệt đới, mưa lớn và biển động dữ dội. Thêm vào đó, độ bất định trong dự báo đường đi cũng làm tăng tính nguy hiểm của bão. Dù các mô hình hiện tại cho thấy khả năng cao tâm bão sẽ đi lệch khỏi Guam, vẫn tồn tại khoảng 30% khả năng bão dịch chuyển bất ngờ, gây thêm rủi ro.
Biện pháp ứng phó và tình hình hiện tại
Trước mức độ nguy hiểm của Sinlaku, các cơ quan khí tượng và chính quyền địa phương đã phát đi nhiều cảnh báo khẩn cấp. Họ yêu cầu người dân trú ẩn an toàn, tránh xa các khu vực ven biển, và chuẩn bị sẵn sàng cho các tình huống khẩn cấp. Tuy nhiên, các chuyên gia cũng nhấn mạnh rằng việc một khu vực "thoát" khỏi tâm bão không đồng nghĩa với an toàn tuyệt đối, do các yếu tố rủi ro đi kèm vẫn có thể gây thiệt hại đáng kể.
Sinlaku là cơn bão đầu tiên trong năm 2026 đạt cấp siêu bão. Đây cũng là lần thứ ba kể từ năm 1977 mà một siêu bão xuất hiện vào tháng 4, sau siêu bão Surigae vào năm 2021. Tính từ đầu năm đến nay, Sinlaku đang là cơn bão mạnh nhất trên toàn thế giới, với áp suất trung tâm 905 hPa, vượt qua bão Maila ở khu vực Úc (924 hPa).
Với áp suất trung tâm chỉ 905 hPa, các chuyên gia thời tiết đánh giá đây là một siêu bão cực kỳ mạnh, có sức tàn phá lớn. Bất kỳ khu vực đất liền nào nằm trên đường đi của bão đều sẽ phải đối mặt với những hậu quả nặng nề và khó lường. Hiện tại, Guam đã được đặt trong Tình trạng Sẵn sàng Cấp độ 1 (COR 1) từ chiều ngày 13/4. Theo Kuam, người dân được lệnh ở trong nhà tuyệt đối cho đến khi bão đi qua hoàn toàn, nhằm đảm bảo an toàn tối đa.



